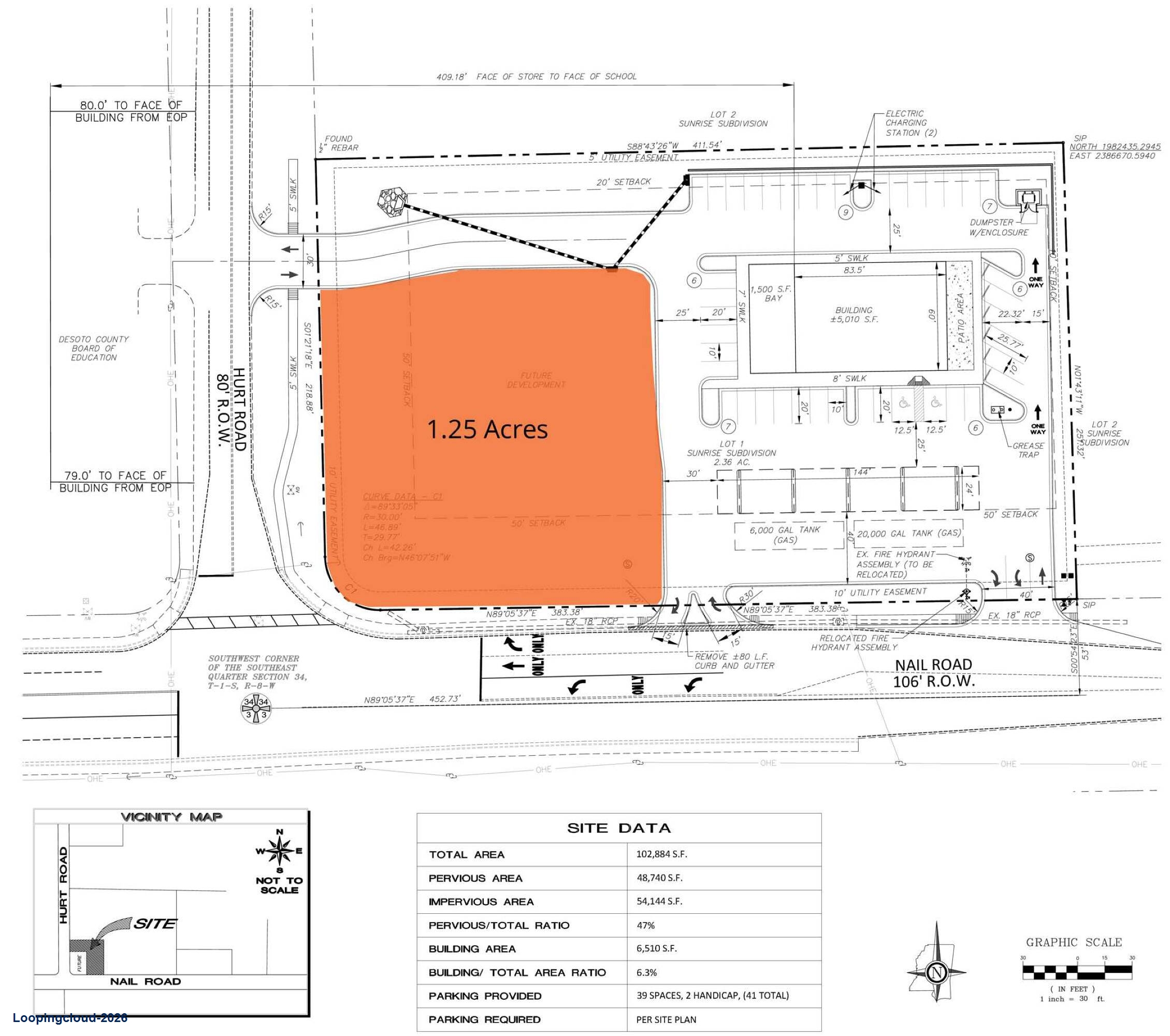
1.25 Acres at 6020 Hurt Rd, Horn Lake, MS

6020 Hurt Rd, Horn Lake Mississippi, 38637

Listing ID: CL-Mississippi-27604 Commercial Commercial Land
Published on: Monday, April 27, 2026 | Updated on: Monday, April 27, 2026

Listing Summary

Premium Commercial Development Opportunity | 1.25 Acres at 6020 Hurt Rd, Horn Lake, MS

Full Description

Elevate your business presence with this prime commercial land for sale or ground lease located at the high-visibility intersection of Hurt Road and Nail Road. Positioned in the heart of Horn Lake, Mississippi, this 1.25-acre corner lot represents a strategic investment opportunity in one of the area’s most active development corridors.


Location & Visibility Highlights

This property sits at the northeast corner of Hurt Rd and Nail Rd, offering unparalleled exposure to local traffic and residents.

  • High Traffic Volume: Benefit from a steady flow of potential customers with a traffic count of approximately 12,000 AADT (Annual Average Daily Traffic) on Nail Road.

  • Built-in Clientele: Located directly across the street from Horn Lake Middle School, which serves nearly 1,000 students, plus faculty and parents, providing consistent morning and afternoon peak-hour visibility.

  • Synergistic Neighbors: The lot is adjacent to a brand-new gas station and convenience store currently under construction, ensuring the corner becomes a primary destination for commuters and local residents alike.


Property Specifications

  • Address: 6020 Hurt Rd, Horn Lake, MS 38637

  • Property Type: Commercial Land

  • Total Acreage: 1.25 Acres

  • Lot Position: Corner Lot (Northeast Corner)

  • Transaction Options: Available for Direct Sale or Ground Lease


Investment Potential

Whether you are looking to develop a retail storefront, a fast-casual dining establishment, or a service-based business, 6020 Hurt Rd offers the flexibility and geographic advantages necessary for long-term growth. The combination of school-related foot traffic and the neighboring commercial development makes this one of the most desirable commercial real estate opportunities currently available in DeSoto County.

Why Choose This Site?

In the competitive Mississippi real estate market, location is everything. This property isn't just a plot of land; it’s a strategic asset located in a growing community with a proven daily vehicle count. The flexibility of a ground lease also allows for a lower entry cost for franchises or businesses looking to build to their specific architectural standards.


Don’t miss out on this Horn Lake corner lot. For more information regarding pricing, zoning details, or to discuss ground lease terms, please contact us today to secure your place in this thriving commercial hub.

Quick Glance

  • Listing ID: CL-Mississippi-27604
  • Status: Active
  • Year Build: N/A
  • Building Size: N/A
  • Lot Size: 1.25 Acre

Complete Details

  • Total Lot Area: 1.25 Acre
  • Heating and Cooling: Not Specified

Pricing Details

Additional Features

Highlights
  • 1.25 acres available For Sale or Ground Lease
  • Corner Lot
  • Adjacent to new gas station and convenience store under construction
  • Across the street from Horn Lake Middle School (993± students)
  • Traffic Count: Nail Rd 12,000 AAD

Listing Location

Disclaimer: LoopingCloud is a social listing portal that connects real estate professionals, service providers, buyers, and sellers. All property information, descriptions, availability, financial details, and any offerings are provided by the respective lister or service provider and are not independently verified by LoopingCloud.